
(NLĐO)- Do độc lập trong lúc chơi với nhau, người anh họ 13 tuổi ở Thanh Hóa đã dùng hung khí sathai begai…

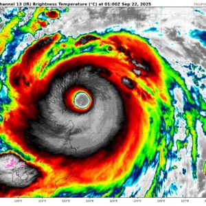
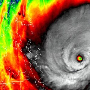
Nhận định về bão Ragasa, theo Trung tâm Dự báo khí tượng thủy văn Quốc gia, hồi 19 giờ ngày 21-9, vị trí…

Làng Yên nằm nép mình bên dòng sông nhỏ, nơi những rặng tre xanh nhạt bóng, những cánh đồng lúa trải dài bất…

Nhận định về bão Ragasa, theo Trung tâm Dự báo khí tượng thủy văn Quốc gia, hồi 19 giờ ngày 21-9, vị trí…

VOV.VN – Theo Trung tâm Dự báo Khí tượng Thuỷ văn Quốc gia, bão Ragasa đã đạt cấp siêu bão với cường độ…

VOV.VN – Theo Trung tâm Dự báo Khí tượng Thuỷ văn Quốc gia, bão Ragasa đã đạt cấp siêu bão với cường độ…