Bão số 9 tiềm năng Biển Đông – bão Ragasa đang tăng cấp thần tốc – đã mạnh lên thành siêu bão với hướng đi vào Bắc Trung Bộ Việt Nam.

Bão Ragasa, cơn bão nhiệt đới thứ 14 của Philippines trong năm 2025 (tên địa phương là Nando), đang đe dọa Bắc Luzon và Trung Luzon.
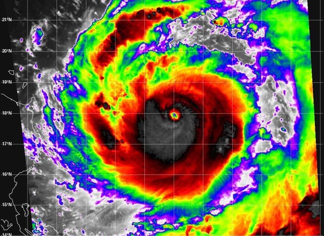
Tin bão mới nhất của Cục Quản lý Thiên văn, Địa vật lý và Khí quyển Philippines (PAGASA) cho hay, vào hồi 4h ngày 21.9 (giờ địa phương, tức 3h ngày 21.9 giờ Việt Nam), vị trí tâm bão ở vào khoảng 17,9 độ Vĩ Bắc, 127,5 độ Kinh Đông, cách thành phố Tuguegarao, Cagayan 610km về phía Đông.
Sức gió mạnh nhất gần tâm bão 175 km/h, giật lên đến 215 km/h, cấp siêu bão với áp suất trung tâm 935 hPa. Siêu bão có sức gió mạnh nhất từ 185 km/h trở lên.
Bão di chuyển theo hướng Tây Bắc với tốc độ 15 km/h. Phạm vi gió bão lan ra xa đến 530km tính từ tâm bão.

PAGASA cho biết có thể nâng cảnh báo gió mạnh lên mức cao nhất (cấp 5) tại nhiều khu vực Bắc và Trung Luzon, dự báo mưa to đến rất to, nguy cơ cao xảy ra lũ quét, sạt lở đất và nước dâng ven biển.
Không chỉ gây ảnh hưởng trực tiếp, bão còn hút mạnh gió mùa Tây Nam khiến nhiều khu vực, trong đó có thủ đô Manila, ghi nhận mưa dông dữ dội.
Văn phòng Phòng vệ Dân sự Philippines (OCD) tối 20.9 cho biết đã sơ tán khẩn 111 hộ dân (khoảng 380 người) tại Ilocos, Trung Luzon và Calabarzon để tránh rủi ro bão và mưa lớn.
OCD khẳng định đang ưu tiên bảo đảm an toàn tính mạng người dân và triển khai tiếp tế hàng thiết yếu tới các khu vực sơ tán.
Trong khi đó, theo tin bão mới nhất của Trung tâm Dự báo Khí tượng Thủy văn Quốc gia Việt Nam, đến 01h ngày 22.9, bão di chuyển theo hướng Tây Tây Bắc, 15 km/h, khả năng mạnh thêm, vị trí khoảng 19,0 độ Vĩ Bắc, 124,4 độ Kinh Đông, cách đảo Luzon 240km về phía Đông Đông Bắc. Sức gió mạnh cấp 14-15, giật trên cấp 17.
Đến 01h ngày 23.9: Tiếp tục hướng Tây Tây Bắc, 15-20 km/h, đạt cấp 16, giật trên cấp 17, ở khoảng 20,3 độ Vĩ Bắc, 120,3 độ Kinh Đông, trên vùng biển phía Bắc đảo Luzo. Vùng nguy hiểm: Phía Bắc vĩ tuyến 18,0 độ Vĩ Bắc, phía Đông kinh tuyến 118,0 độ Kinh Đông. Cấp độ rủi ro thiên tai: Cấp 4 (vùng biển phía Đông khu vực Bắc Biển Đông).

Đến 01h ngày 24.9: Bão tăng tốc 20-25 km/h, đi vào Biển Đông, vị trí khoảng 21,5 độ Vĩ Bắc, 115,0 độ Kinh Đông, cách Hong Kong (Trung Quốc) 140km về phía Đông Nam. Sức gió duy trì cấp 16, giật trên cấp 17.
Vùng nguy hiểm: Phía Bắc vĩ tuyến 18,0 độ Vĩ Bắc, phía Đông kinh tuyến 113,0 độ Kinh Đông. Cấp độ rủi ro thiên tai: cấp 4 (khu vực Bắc Biển Đông).
Dự báo trong 72-120 giờ tới: Bão dự kiến tiếp tục hướng Tây, sau đó đổi Tây Tây Nam với tốc độ khoảng 20 km/h và suy yếu dần.
Từ chiều 22.9, khu vực Đông Bắc Biển Đông có gió mạnh cấp 6-7, giật cấp 11. Đêm cùng ngày, gió tăng cấp 10-13; gần tâm bão cấp 14-16, giật trên cấp 17. Sóng biển cao 4-8 m, vùng gần tâm bão có thể vượt 10m, biển động dữ dội.
Tàu thuyền không đi vào vùng nguy hiểm do nguy cơ cực cao gặp gió giật, dông lốc và sóng lớn.
News
Anh là người thành phố, thành đạt , đẹp trai, lúc nào cũng lịch lãm và chỉn chu . Còn tôi xinh xắn, xuất thân trong gia đình gia giáo, bố mẹ làm nhà nước.
Tôi tên Hoa, năm nay 43 tuổi. 18 năm trước, tôi nên duyên vợ chồng với một đàn anh cùng trường đại học . Anh là người thành phố, thành đạt , đẹp trai, lúc nào cũng lịch lãm và…
Tôi đưa vợ là con gái giám đốc đến đám cưới để ‘lên mặt’, nào ngờ đến nơi, biết thân phận thật của chú rể mà tôi ch/ế-t lặng b/àng h/oàng
Nghe tin vợ cũ tái hôn với anh bảo vệ cũ của công ty mình, tôi cười đến suýt t/ắc th/ở rồi đưa vợ là con gái giám đốc đến đám cưới để ‘lên mặt’, nào ngờ đến nơi, biết…
Tôi mở một cửa hàng kinh doanh nhỏ. Chúng tôi dùng chung tài khoản tiết kiệm, nhưng tôi vẫn giữ tài khoản riêng từ trước hôn nhân – nơi tôi để lại khoản hồi môn ấy.
Bố tôi khuyên tôi: “Trước khi kết hôn phải chừa cho mình một đường lui.” Nghe lời ông, tôi đem 3 tỷ tiền hồi môn và căn nhà đi CôBố tôi khuyên tôi: “Trước khi kết hôn phải…
Nhưng khi ngày cưới đến gần, ông lại ngồi xuống bên mép giường, giọng trầm ấm nhưng cương quyết: “Con thương người ta thì ba mừng. Nhưng cuộc sống sau này, ai mà biết được. Hãy giữ lại cho mình chút gì đó.”
Bố tôi khuyên tôi: “Trước khi kết hôn phải chừa cho mình một đường lui.” Nghe lời ông, tôi đem 3 tỷ tiền hồi môn và căn nhà đi CôBố tôi khuyên tôi: “Trước khi kết hôn phải…
Trong số 9 người tử vong trong vụ lật xe ở Phình Hồ, có cả nhà báo, nhà giáo và một số mạnh thường quân nổi tiếng
Trong số 9 người tử vong trong vụ lật xe ở Phình Hồ, có cả nhà báo, nhà giáo và một số mạnh thường quân nổi tiếng. Gia đình, người thân đang chuẩn bị đám tang cô giáo trẻ Phan Trung…
“Con đồng ý. 15 triệu một tháng, tụi con lo được.” Bà nội ngẩng lên, ánh mắt thoáng chút đắc thắng.
Nhà tôi có bà nội.Và bà nội tôi… trọng nam khinh nữ đến mức không cần giấu. Ngày còn nhỏ, anh em con trai được bà bế ẵm, cho tiền, mua bánh.Còn mấy chị em gái chúng tôi, bà chỉ…
End of content
No more pages to load